Building national hydrographic capabilities in Albania
Albania now produces official nautical charts that are distributed through a global network to international shipping.
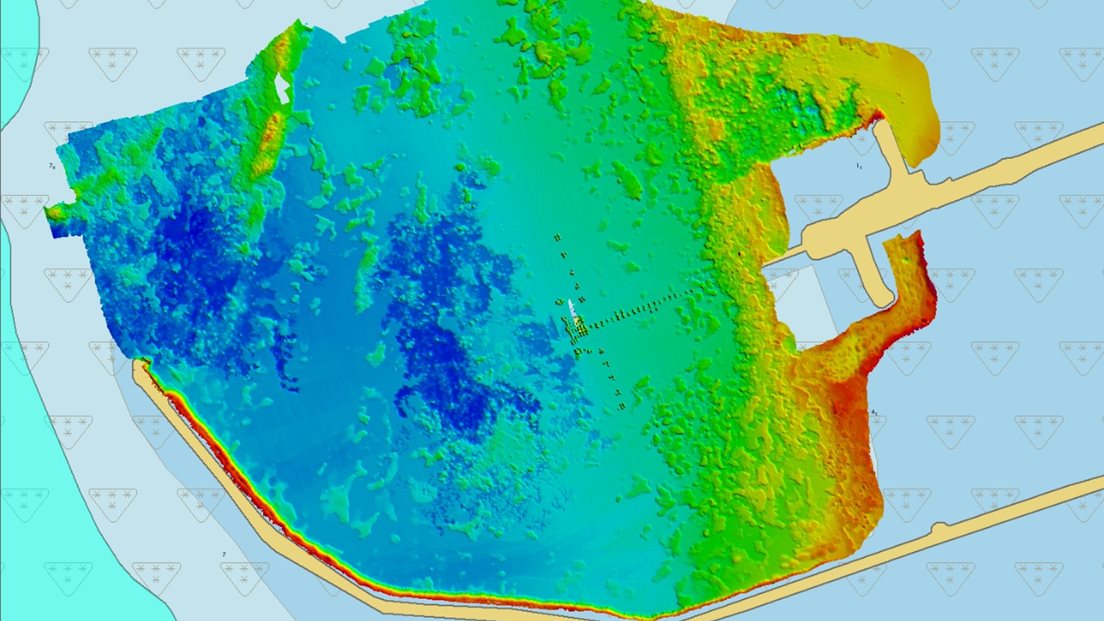
Project facts:
- 12M NOK during period 2014-2020.
- Survey launch with newest survey equipment delivered to Albania.
- 2 tide gauges delivered, installed and operational.
- 8 ports and approaches (all main ports), 2 naval bases and 4 bay areas completely surveyed to modern standards.
- Modern official electronical nautical charts of entire coast and main ports of Albania produced and made accessible to professional shipping.
International obligations for official nautical charts
The United Nations convention on Safety of Life at Sea (SOLAS), chapter 5, regulation 9 describes the obligations for a coastal state with regards to providing hydrographic services to mariners. In order to facilitate safe and effective international (and national) transport of people and goods by sea, coastal states must map their waters and issue updated nautical charts and publications in a way that provides easy and secure access for the mariners that need them. Out of more than 150 countries with a coastline, less than half are capable of meeting international obligations for official nautical charts themselves. In many cases, a primary charting authority such as the United Kingdom or France fulfils these obligations on behalf of them. Since 2014 the Norwegian Mapping Authority has been involved in supporting Albania to get a fully operational hydrographic office.
Capacity building
Albanian Navy staff and staff from the Albanian Military Geographical Institute have been trained in hydrographic survey and nautical cartography both in the Netherlands, in Italy and in Norway. A survey launch has been refitted with a new engine and the latest survey equipment and delivered to Albania. All necessary hardware and software to process collected survey data and to produce electronic and paper nautical charts have been provided and two tide gauges have been delivered and installed with Albanian staff trained on how to operate and maintain them.
Albania now produces official nautical charts for their entire coast and main ports. These new and up-to-date electronic nautical charts are distributed through a global network and therefore available to international shipping. Albania proudly fulfils its international obligations in accordance with SOLAS chapter 5, regulation 9.

Fulfilling international obligations
As such, the Albanian government now complies with their international obligations as laid out in the United Nations SOLAS convention, providing updated nautical information to international shipping.
The mail has been sent!